Clynalwin German Shepherd Dogs *** Tel: Claire 07879 452131 *** Site Created and Maintained by Clynalwin  ***

German Shepherd Dogs 
Kennel Club Assured Breeder Since 2005


Hip Dysplasia

A brief overview as to why we 'Hip Score' German Shepherd Dogs before we breed.

Dog hip dysplasia is a common skeletal developmental problem generally found in larger dogs and, in particular, in  working and sporting dog breeds.  Dog hip dysplasia occurs because the upper ball portion of the dog's hind legs doesn't fit properly into the hip socket, causing instability within the ball-and-socket joint, which in turn eventually causes the hip bone to tear apart thus being called dog hip dysplasia.


At this point in time, no one knows exactly what causes dog hip dysplasia, but most vets now agree that dog hip dysplasia is probably an inherited condition. They also agree that the dog hip dysplasia probably isn't influenced by a dog's diet, although dog hip dysplasia is aggravated by excessive weight and obesity problems. They suspect that the animal's overall weight and/or very rapid growth during puppy hood may be contributing factors for dog hip dysplasia.

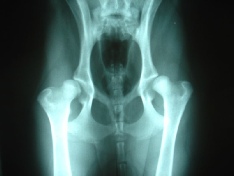
The BVA/KC Hip Dysplasia Scheme

SYMPTOMS:

 

 While dog hip dysplasia have no apparent symptoms, others, however, have varying degrees of lameness and arthritic pain. In the most severe cases, dog hip dysplasia can cause joint deterioration, limiting the dog's mobility. 

  As the condition evolves, dog hip dysplasia becomes quite painful and may be more pronounced on cold, damp days. Typical symptoms of dog hip dysplasia include: lameness, especially after prolonged exercise, a waddling or swaying gait, difficulty in rising or climbing stairs, reluctance to move, changes in temperament, pain when hips move, poorly developed musculature in the hind quarters and the weight-carrying legs.


The current BVA/KC scoring scheme for hip dysplasia (HD) has been in operation since 1984 and since then over 100,000 X-rays have been assessed. Dysplasia means abnormal development, and the degree of hip dysplasia present is indicated by a score assigned to each hip. The hip score is the sum of the points awarded for each of nine aspects of the X-rays of both hip joints. The minimum hip score is 0 and the maximum is 106 (53 for each hip).

 

The lower the score the less the degree of hip dysplasia present.

An average (or mean) score is calculated for all breeds scored under the scheme and advice for breeders is to use only breeding stock with scores well below the breed mean score.

The minimum age for hip scoring is one year, and each dog is only ever scored once under the scheme.


The main purposes of the scheme are the examination of radiographs of elbows of dogs for elbow dysplasia and the issue of a certificate in respect of that examination.

Elbow dysplasia (ED) has been identified as a significant problem in manybreeds but as the principle cause of ED is genetic, screening can hopefully reduce the problem in the canine population through selective breeding.


The BVA also have a  Elbow Dysplasia Scheme.